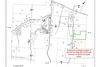
Sweden, Map R5 Lot 52 Bridgton Road - 48 acres
Affordable building lot in the mountains of western Maine!
Welcome to Sweden, Maine! This attractive ±48 acre gentle sloping, open building lot offers distant views and excellent access, making it an ideal setting for a year-round home or recreational get-away. With 808 feet of paved public road frontage and power at the road, you'll have flexibility in choosing a driveway and house location. The Residential Zone allows (in part) single-family homes or single manufactured homes, along with private garages and other accessory structures. Certain additional uses may be permitted with approval, and buyers should confirm details with the Sweden Code Enforcement Officer.Located just 5 miles from Pleasant Mountain Ski Area and Moose Pond, 8 miles from Bridgton, and 15 miles from Fryeburg, this is a convenient four-season destination. Stearns Pond (a 248-acre, 47-foot-deep lake with a public boat launch) is close by, along with several other ponds for paddling, fishing, and exploring. Outdoor recreation is abundant: ATV trails maintained by the Pulpit Rock Trail Blazah's and ITS 80-snowmobile trail system in the vicinity. Great local hiking in Lovell, Waterford, Fryeburg, and Bridgton, including favorites like Jockey Cap, Mt. Tom, and Pleasant Mountain Quiet rural roads in Sweden perfect for walking, biking, and exploring old, abandoned roadways. Groomed cross-country ski trails available at Roberts Farm Preserve (Norway), Highlands Ridge Trails (Bridgton), and the Lake Kezar Country Club (Lovell) T
Taxes TBD—the offered ±48-acre lot has been divided from a larger parcel currently enrolled in Maine's Tree Growth Tax Law Program. Buyer to be responsible for removing +/-48 acres from Tree Growth, if desired and will be responsible for the accompanying penalty
Directions: Just 0.4 miles from Sweden Town Office on the left heading towards Bridgton on Route 93/Bridgton Road





