Skip to main content

Phelps Creek 121

Address
Lee County, Alabama
Status
Sold
Price
$509,231 or $4,125/acre
Acres
± 123.45 Acres
Share
54 aerial
1
575 topography
2
573 IMG 1265
3
340 IMG 1277
4
480 IMG 1272
5
80 IMG 1276
6
491 IMG 1279
7
520 IMG 1278
8
24 IMG 1273
9
776 IMG 1281
10
444 IMG 1269
11
780 IMG 1268
12
95 IMG 1267
13
573 IMG 1270
14
899 IMG 1266
15

Phelps Creek 121

Hunting and timber property

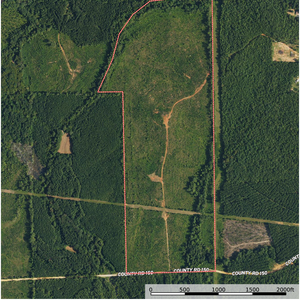
This property presents an excellent opportunity for both hunting and timber investment, situated in central Lee County near Spring Villa. It is located on Lee Road 150, offering approximately 1,350 feet of road frontage. Phelps Creek delineates the northern boundary. Recently surveyed, the property covers ±123.45 acres, with approximately 100 acres consisting of 5-year-old planted pine trees currently in their rapid growth phase. These young trees are small enough to allow the Buyer to clear space for food plots, roads, or openings for a home or barn with ease. The topography is gently rolling, with the highest elevation points providing impressive long-distance views. It should be noted that there is no power at the property; the nearest power pole is 3,100 feet away.
SharePrint

Listing Information

Location

Lee County, AlabamaGet Directions

Latitude / Longitude

32.57490995074365/-85.2783416963379

Subscribe

Subscribe to This Property

Get notified when this property's status, price, or details change.

Subscribe to This Property (Login Required)

Favorite this Property

Sign in to favorite this property.
No account yet? No problem, Create an Account